bay laurel

bay laurel 2014

In Biblical times, the bay laurel was symbolic of wealth.  It is a lovely tree , native to the Mediterranean, with soft branches and grows to about 10 -20  feet in height.

What is most notable about the bay leaf is the sweet aroma of the leaves – it has a mellow sweetness that smells a little bit like Christmas.  Ancient Greeks and Romans adorned their Olympic victors and heroic soldiers in wreathes fashioned and twined out of bay branches.  King David was so taken with the bay laurel that he used the aromatic bay wood for paneling his personal rooms.

Nowadays, the bay laurel is used mostly to season mediterranean dishes – from meats, fishes and poultry to vegetables, broths and soups, and stews.

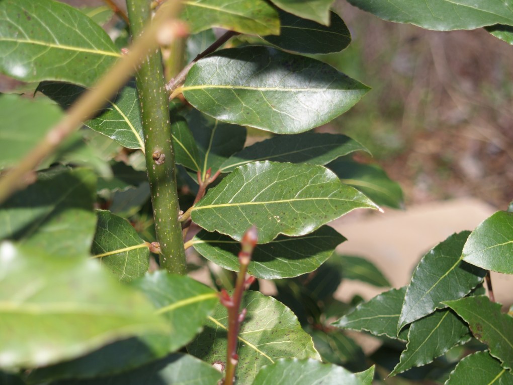
We have a bay laurel tree in our herb garden, that was bought over a decade ago at the farmer’s market.  At the time, I didn’t know that you could grow your own bay tree, but my good friend bought one, and I followed her lead.  The young trees do not do well in cold weather, so it grew in our home by a sunny window for about 7 years before planting it outside.    Then last winter, we had such cold weather for our area – in the twenties for many many weeks.  The branches and leaves all got the equivalent of frost bite and dried up and died.  So in the spring we pruned our beautiful tree down to the stubs and hoped for the best.  Guess what, it grew right back!  The picture above is from the beginning of summer.

 

The bay leaves can be used in tea or as a culinary herb, but the bay has some other surprising properties.

[box]

Herbalists have known that bay laurel poultice or wash may help increase the healing of wounds.  Science has finally gotten around to confirm it.  A 2006 study in the “BMC Complementary and Alternative Medicine” journal found that rats treated with 200 mg of bay leaf extract per kilogram of body weight experienced accelerated wound closure and healing within 10 days.”

The essential oil from the bay laurel is bactericidal and fungicidal.  A 2011 study in the journal “Natural Product Research” discovered why — bay leaf extract was found to have antimicrobial activity against some of the most common pathogens, including Staphylococcus aureus, Streptococcus pyogenes, Aspergillus fumigatus and Candida albicans.

The oil from the bay laurel has been used for soap making and veterinary medicine.

The bay leaf is a primary ingredient in “gripe water” which is a natural remedy for colicky babies!  So it is no surprise that in Lebanon, bay leaves are extracted to relieve flatulence and act as a stomach tonic.

Also in Lebanon, bay leaves are steeped in brandy and let to sit in the sun for several days.  The residue, after distillation is used for arthritis and sprains.

[/box]

You don’t need to grow your own bay tree to enjoy this aromatic herb, but if you’d like to and are in Virginia – Monticello – home to President Thomas Jefferson sells them for a reasonable price, and you can tour the mansion while you are there too!   Another great place for anything plantable and edible is Edible Landscaping.  They also sell bay laurel.

If you’d prefer to buy it harvested, then my best recommendation for it is Penzey’s.  Their spices are super fresh and also very affordable.  I first heard about them in Cook’s Illustrated magazine.  My good friend, the one who originally encouraged me to buy that little bay tree, and I -when we were very young stay at home mom’s – used to buy our spices in bulk from Penzey’s and split them.

You can use fresh or dried bay laurel for tea.  My daughter, when she was younger loved to play in the garden.  She would make her own tea with bay leaves, lavender and thyme – sometimes it was VERY strong….but still delicious.  She also would take the most ordinary fruits and vegetables and make them into a piece of art.   Like this squash and orange juice platter of sorts that she came up with, served atop of a gigantic squash leaf and enjoyed by her and her sisters and friends.

garden art

This is a modification of my daughter’s playful tea.

[box]

Citrus and Cinnamon Bay Leaf Tea

Ingredients

  • 1 cinnamon stick
  • 4 bay leaves
  • juice of lemon to taste
  • 3 cups very hot water

Place all ingredients in a tea pot and allow to steep for five minutes or longer.  The longer it steeps the stronger the flavors.

Enjoy as is or add some raw honey for a little sweetener.

[/box]

Resources:

http://www.livestrong.com/article/480381-what-are-the-health-benefits-of-bay-leaves/

James A Duke, Ph.D. Herbs of the Bible: 2000 Years of Plant Medicine

Leave a comment